도다리조황
조황정보 > 도다리조황
6.24일 덧글 0 | 2012-09-11 00:00:00
관리자  

 



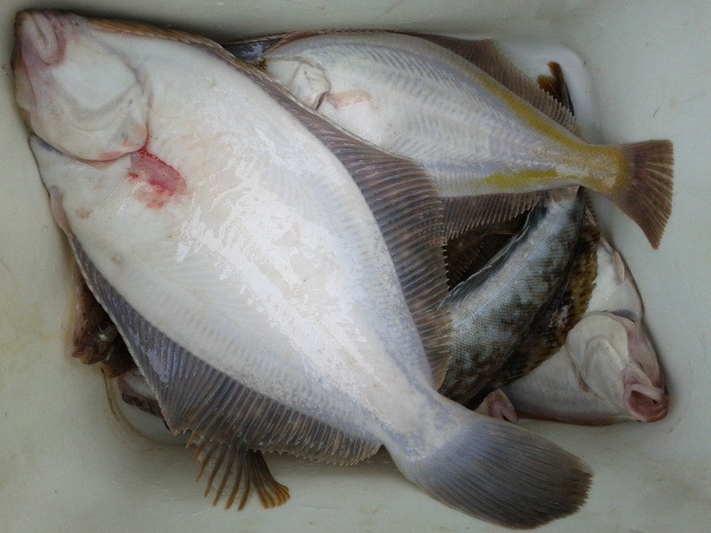
6.23일토,도다리왕창조황|도다리조황



포세이돈 | 조회 40 |추천 0 |2012.06.24. 12:29 http://cafe.daum.net/didvhduddlf/bQLZ/54 












 



 



 



 



 



 



 



 



 



 



 



 



 



 



 



 



 



 



 



 



 



 



 



① 출  조  일 :

② 출  조  지 :

③ 출조 인원 :

④ 물       때 :

⑤ 바다 상황 :

⑥ 조황 요약 :

일 시;2012.6.23

내 용; 토요일도다리왕창조황.

날씨도 선선하고,

바다도 잔잔하고,

도다리는 계속올라오고,

즐거운 주말낚시 였습니다.

올라오는 도다리 씨알도 좋코,

공기도 상쾌하니,

쐬주에 도다리가 술술 넘어가네요.

오늘오신 구미,포항손님들 수고하셨습니다.

가시는길 안전운전하시고

행복하십시오.....

양포 포세이돈 선장 올림.....

감사합니다.

우럭,열기선상도 병행 출조합니다.


최선을 다하는............ 양포포세이돈선장올립


우럭전문출조-줄조지(양포,구룡포,감포,)-전화요

오전;50.000 원 오후;50.000 원, 종일낚시;80.000원


열기전문출조-출조지(양포,감포,구룔포)전화요

오전;50.000원 오후;50.000원. 종일낚시;80.000원

**양 포 최 대 선 보 유**


인영 일 호 7.9 톤(승선인원;18)


포세이돈호4,58톤(승선인원;12)


태 성 2 호 3 톤(승선인원;7 )


3대가 여러분을 기다리고 있습니다.주저마시고

전화예약 해주시기 바랍니다.

(더 많은 조황을 보시려면

"@다@ 음@ 카@ 페@"에서@ 포@ 세@ 이 @돈@ 호@ "를 검색하시면

어종별,계절별,많은 조황이 게시되어 있습니다.

많은 방문있으시길 바라며, 건강하십시오!)

감 사 합 니 다.....

**새 로 운 선 상 낚 시 출 조 시 행**


1,도다리선상출조안내

선 상 출 조 시간:07:00-11:00 13:00-15:00 선비:(1인:40.000원)

미끼무료제공,채비무료(바늘,추),낚시대무료대여.

(오전;07.00=11.00 오후;13.00-17.00)

2,열 기.뽈락,우 럭 선 상 낚 시:1인:5 만 원 [낚시대무료대여]

출조시간:오전6.30~11.30 오후1시~6시[출조시간조정가능]

500.000원[열기우럭미끼제공 크릴 오징어]

[선상열기회떠드립니다]

선상낚싯대:릴4000번 열기우럭대 합사8호


3,고 등 어 선 상 낚 시:낚시대무료대여

출조시간:오전6.30~11.30 오후1시~6시[출조시간조정가능]

선상낚싯대:릴4000번 열기우럭대 합사8호

1인40.000원.독선400.000원[.선상회기본으로해드립니다]


4.삼 치 루 어 선 상 낚 시;낚시대무료

출조시간:오전6.30~11.30 오후1시~6시[출조시간조정가능]

1인50.000원,독선;500.000원

5.종 일 선 상 낚 시 출 조(평일기준)

선상낚시출조시간:7.00~오후3.00시까지

미끼무료제공.낚시대무료대여.

선상낚시어종:계절별어종[도다리.열기.우럭.뽈락.삼치.고등어]

선상요금:독배기준(600.000원)


*** 출 조 및 예 약 문 의 ***

입금계좌:(농협);3 5 1 - 0 2 6 6 -8 2 3 5 - 8 3( 김종수)

℡ ☎ H .P : 0 1 0 - 8 5 7 5 - 1 0 4 7 ≫


(예약은미리하십시오.오후 조황이 오전 못지않게 좋은 조황이 올라옵니다.

"선상낚시의 조황을 책임지는 포세이돈호입니다" 


오시는길; 건천,포항간산업도로-오천-장기-양포삼거리-"양포작은방파제